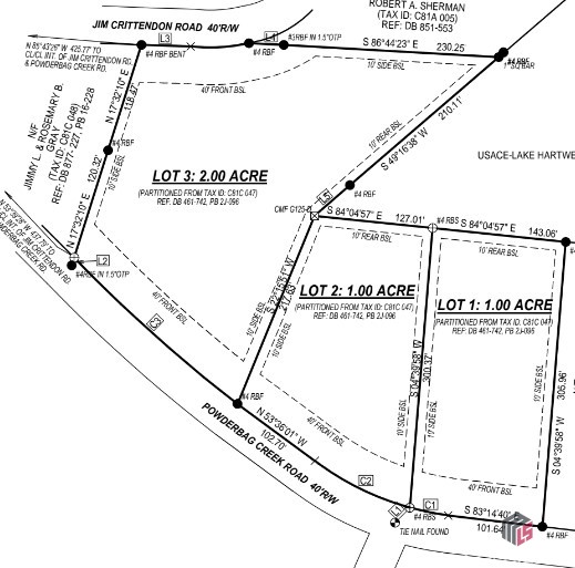
Lot3 Powderbag Creek Road
Hartwell, GA 30643
Property Description
Discover an extraordinary opportunity to invest in an affordable, buildable lakefront deepwater lot, perfectly positioned near the heart of Hartwell, Georgia...just off big big water in a secluded small cove and close to Hartwell marina, grocery, restaurants and other conveniences. 3 lots available, private wooded and gently sloping towards the corps line, ideal for basement builds with direct lake access. This prime location provides the best of both worlds—seclusion and tranquility with easy access to the boat ramp, marina and in town conveniences. Whether you're drawn to the area's rich history of having one of the best lakes in the state or the boundless recreational activities the lake offers, everything you need is within reach. Recent improvements include soil tests, survey and clearcutting underbrush to show the lot’s potential and improving the lake view while maintaining the privacy of the many hardwoods. Enjoy a serene vista every day, relaxing on your future porch or camping in place while planning your lakeside dream home adventure. With much of the groundwork laid, this lot is ready for you to bring your vision to life. The only thing left to do is make this dream location yours. Reach out to Erin today, and allow us to guide you to the perfect spot for your future home, offering a peaceful retreat that combines the best of nature and modern convenience. Utilities available: Hart EMC, Fiber Internet, County water and sewer. Reach out to Erin today, and allow us to guide you to the perfect spot for your future home, offering a peaceful retreat that combines the best of nature and modern convenience.1. Lakefront, 2. No Restrictions, 3. Deep Water, 4. Excellent Location, 5. Private, 6. Close to boat ramp
Property Details
Interested in this property?
Property Location
Hartwell, GA 30643